首頁
台灣
世界
動物
圖文
娛樂
女生
出門
動漫
生活
公關專欄
編輯專欄
網人365
 
選擇語言:
還原 简体 繁體
  • 關於我們
  • 徵才
  • 聯絡我們
  • 刊登廣告
  • 安卓APP
  • 愛瘋APP

TEEPR 亮新聞

選單
  • 首頁
  • 台灣
  • 世界
  • 動物
  • 娛樂
    • 電影
    • 星聞
    • 影評
    • 美漫
  • 圖文
  • 女生
    • 時尚單品
    • 美妝
    • 感情
  • 出門
    • 旅遊
    • 美食
  • 動漫
    • 動漫宅
    • 遊戲
    • Cosplay
  • 生活
    • 求職
    • 藝術
    • 知識
    • 星座
    • 科技
    • 小物
    • 親子
  • 公關專欄
  • 編輯專欄
    • 蘑菇宅
    • 雪若Q談人蔘
    • Adrian
    • ChloE直講
  • 網人365
    • 今日紅什麼
    • 本週主打星
  • TEEPR原創影片
    • 叭啦叭啦研究室
    • TEEPR推一波
    • 亮新聞
  • IG專區
首頁
台灣
世界
動物
圖文
娛樂
女生
出門
動漫
生活
公關專欄
編輯專欄
網人365

傲嬌茉茉寫的文章

不用殺蟲劑!滅蟑螂、螞蟻「超實用招絕」曝光

August 19, 2025
台灣, 知識

學蔡依林9:30睡覺 「他真的睡著」下場慘!一票苦主崩潰

August 19, 2025
星聞, 台灣

家中舊沙發1萬多元賣出「以為自己賺到」 她事後驚覺「60萬飛走了」

August 19, 2025
世界

要變天了!颱風「玲玲」恐今生成 最新路徑曝

August 19, 2025
台灣

北北桃驚現「全新詐騙」 接到1電話快掛斷

August 18, 2025
台灣, 知識

亞洲自來水「塑膠微粒」含量最高!專家教1動作去除90%

August 18, 2025
台灣, 知識

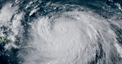
空軍冒險飛入「最猛颶風」艾琳內部!拍下「颱風眼」真實模樣 影片震撼全球

August 18, 2025
世界

幸運兒是你嗎?僅花39元買飲料「爽中1千萬」地點曝 9/5未領就充公了

August 18, 2025
台灣

「雨神+雷神同時報到」慎防強降雨!這時才轉晴

August 18, 2025
台灣

變天了!玲玲颱風最快今形成  最新預估路徑曝光

August 18, 2025
台灣

全台午後變天!「雨最猛」地區曝光

August 18, 2025
台灣

颱風「玲玲」預估最快今晚生成 專家曝最新路徑

August 18, 2025
台灣
跳轉頁面« 第一頁‹ 上一頁6970717273747576777879下一頁 ›最後一頁 »
← Older posts
Newer posts →
TEEPR原創影片
網人365
編輯專欄
公關專欄
生活
動漫
出門
女生
ChloE直講
科技
娛樂
Travel Seefood
圖文
小物
Adrian
親子
動漫宅
雪若Q談人蔘
動物
美漫
星座
遊戲
美妝
Jane的假的
影評
世界
知識
Cosplay
時尚單品
叭啦叭啦研究室
電影
蘑菇宅
台灣
本週主打星
美食
亮新聞
感情
旅遊
Girls Talk!
星聞
今日紅什麼
藝術
IG專區
激辯擂台
TEEPR推一波
求職
Pushnews 推日報 (Awesome Co. Ltd.) Copyright © 2014
DMCA.com Protection Status
關於我們
服務條款
隱私條款
聯絡我們
爆料信箱:contact@teepr.com
聯絡專線:+886-2-7709-1699
 
兒童不宜內容

此內容只給年滿18歲的讀者觀看,如非18歲請退出!

我大人了啦!
未滿18歲
cwv3_den_title

cwv3_den_msg

未滿18歲