首頁
台灣
世界
動物
圖文
娛樂
女生
出門
動漫
生活
公關專欄
編輯專欄
網人365
選擇語言:
還原
简体
繁體
關於我們
徵才
聯絡我們
刊登廣告
安卓APP
愛瘋APP
選單
首頁
台灣
世界
動物
娛樂
電影
星聞
影評
美漫
圖文
女生
時尚單品
美妝
感情
出門
旅遊
美食
動漫
動漫宅
遊戲
Cosplay
生活
求職
藝術
知識
星座
科技
小物
親子
公關專欄
編輯專欄
蘑菇宅
雪若Q談人蔘
Adrian
ChloE直講
網人365
今日紅什麼
本週主打星
TEEPR原創影片
叭啦叭啦研究室
TEEPR推一波
亮新聞
IG專區
首頁
台灣
世界
動物
圖文
娛樂
女生
出門
動漫
生活
公關專欄
編輯專欄
網人365
傲嬌茉茉寫的文章
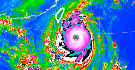
康芮暴風圈增強到320公里!近20年來「襲台最大」
October 30, 2024
台灣
從影超過半世紀!資深男星「曾透過兒子捐肝續命」 今病逝享壽82歲
October 30, 2024
星聞
,
台灣
明停班停課?風雨預測更新 「7縣市」達標了
October 30, 2024
台灣
男生最不願娶的「女生職業排行榜」 護理師竟是第6
October 30, 2024
世界
被嗆「不婚不生老了就知道」 他愣:是要知道什麼?
October 30, 2024
台灣
北市隨機捅人!騎士中數刀「鮮血直流」躲飲料店求救
October 29, 2024
台灣
巴士遭撞墜落山谷!死亡人數增至20人 肇事司機棄車跑了
October 29, 2024
世界
新北爆凶殺案!女房東遭砍10刀「倒血泊抽動」又被掐脖直到斷氣 死者驚人身分曝
October 29, 2024
台灣
外送員「抓浪貓」丟下26樓!拍片記錄斷氣瞬間 平台發聲了
October 29, 2024
世界
,
動物
不爽被罵「X你娘」 新北男亂刀刺死女房東
October 29, 2024
台灣
知名網紅驚傳猝逝!「才參加完朋友喪禮」 家屬悲痛證實了
October 29, 2024
星聞
,
世界
全台都躲不掉!中颱康芮「直撲1地」海、陸警齊發時間曝
October 29, 2024
台灣
跳轉頁面
« 第一頁
‹ 上一頁
239
240
241
242
243
244
245
246
247
248
249
下一頁 ›
最後一頁 »
← Older posts
Newer posts →
兒童不宜內容
此內容只給年滿18歲的讀者觀看,如非18歲請退出!
我大人了啦!
未滿18歲
cwv3_den_title
cwv3_den_msg
未滿18歲