首頁
台灣
世界
動物
圖文
娛樂
女生
出門
動漫
生活
公關專欄
編輯專欄
網人365
 
選擇語言:
還原 简体 繁體
  • 關於我們
  • 徵才
  • 聯絡我們
  • 刊登廣告
  • 安卓APP
  • 愛瘋APP

TEEPR 亮新聞

選單
  • 首頁
  • 台灣
  • 世界
  • 動物
  • 娛樂
    • 電影
    • 星聞
    • 影評
    • 美漫
  • 圖文
  • 女生
    • 時尚單品
    • 美妝
    • 感情
  • 出門
    • 旅遊
    • 美食
  • 動漫
    • 動漫宅
    • 遊戲
    • Cosplay
  • 生活
    • 求職
    • 藝術
    • 知識
    • 星座
    • 科技
    • 小物
    • 親子
  • 公關專欄
  • 編輯專欄
    • 蘑菇宅
    • 雪若Q談人蔘
    • Adrian
    • ChloE直講
  • 網人365
    • 今日紅什麼
    • 本週主打星
  • TEEPR原創影片
    • 叭啦叭啦研究室
    • TEEPR推一波
    • 亮新聞
  • IG專區
首頁
台灣
世界
動物
圖文
娛樂
女生
出門
動漫
生活
公關專欄
編輯專欄
網人365

傲嬌茉茉寫的文章

國道一號驚傳嚴重車禍!「大貨車追撞3車」現場慘變火海

November 8, 2024
台灣

清晨下探16.1度!週末回溫時間點曝 銀杏外圍加1地炸雨彈

November 8, 2024
台灣

以為是萬聖節道具!他撿起地上頭顱 一看崩潰「竟然是真的」 

November 7, 2024
世界

LINE傳訊息回1符號 他怒轟:沒家教

November 7, 2024
星聞, 台灣

曾批劉德華「不是歌手」!男星驚傳開演唱會「只有50人到場」門票慘掉到22元

November 7, 2024
星聞, 世界

小夫妻鐵軌忘情拍照「沒看見火車來」 絕望「雙雙跳下27公尺高深谷」

November 7, 2024
世界

驚拋震撼彈!女星無預警離婚「結束7年婚姻」

November 7, 2024
星聞, 世界

彰化再傳死亡車禍!母女被撞飛 國二女兒搶救7天亡

November 7, 2024
台灣

銀杏颱風恐來襲?最新預測路徑曝光

November 7, 2024
台灣

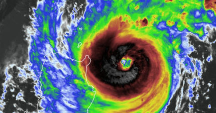
「小鋼炮」銀杏颱風眼曝光!3地嚴防雨彈

November 7, 2024
台灣

貨車竟「載著一棟移動住宅」他看傻!網愣:嚴重超重了吧

November 7, 2024
台灣

銀杏環流雨襲!明晚起「1地下更大」 下周恐又有颱風

November 7, 2024
台灣
跳轉頁面« 第一頁‹ 上一頁233234235236237238239240241242243下一頁 ›最後一頁 »
← Older posts
Newer posts →
TEEPR原創影片
網人365
編輯專欄
公關專欄
生活
動漫
出門
女生
ChloE直講
科技
娛樂
Travel Seefood
圖文
小物
Adrian
親子
動漫宅
雪若Q談人蔘
動物
美漫
星座
遊戲
美妝
Jane的假的
影評
世界
知識
Cosplay
時尚單品
叭啦叭啦研究室
電影
蘑菇宅
台灣
本週主打星
美食
亮新聞
感情
旅遊
Girls Talk!
星聞
今日紅什麼
藝術
IG專區
激辯擂台
TEEPR推一波
求職
Pushnews 推日報 (Awesome Co. Ltd.) Copyright © 2014
DMCA.com Protection Status
關於我們
服務條款
隱私條款
聯絡我們
爆料信箱:contact@teepr.com
聯絡專線:+886-2-7709-1699
 
兒童不宜內容

此內容只給年滿18歲的讀者觀看,如非18歲請退出!

我大人了啦!
未滿18歲
cwv3_den_title

cwv3_den_msg

未滿18歲