首頁
台灣
世界
動物
圖文
娛樂
女生
出門
動漫
生活
公關專欄
編輯專欄
網人365
 
選擇語言:
還原 简体 繁體
  • 關於我們
  • 徵才
  • 聯絡我們
  • 刊登廣告
  • 安卓APP
  • 愛瘋APP

TEEPR 亮新聞

選單
  • 首頁
  • 台灣
  • 世界
  • 動物
  • 娛樂
    • 電影
    • 星聞
    • 影評
    • 美漫
  • 圖文
  • 女生
    • 時尚單品
    • 美妝
    • 感情
  • 出門
    • 旅遊
    • 美食
  • 動漫
    • 動漫宅
    • 遊戲
    • Cosplay
  • 生活
    • 求職
    • 藝術
    • 知識
    • 星座
    • 科技
    • 小物
    • 親子
  • 公關專欄
  • 編輯專欄
    • 蘑菇宅
    • 雪若Q談人蔘
    • Adrian
    • ChloE直講
  • 網人365
    • 今日紅什麼
    • 本週主打星
  • TEEPR原創影片
    • 叭啦叭啦研究室
    • TEEPR推一波
    • 亮新聞
  • IG專區
首頁
台灣
世界
動物
圖文
娛樂
女生
出門
動漫
生活
公關專欄
編輯專欄
網人365

傲嬌茉茉寫的文章

台灣「15億科技大廠」今下市!2公司「股票變壁紙」股民崩潰

November 18, 2024
台灣

知名旅行社驚傳倒閉!負責人捲款200萬跑路 50人赴日前被丟包

November 18, 2024
台灣

風力發電機「葉片掉下」!「砸死人」畫面曝

November 18, 2024
世界

張國榮回來了?帥氣攤販老闆「相似度99%」網鼻酸

November 18, 2024
星聞, 世界

老婆「遭全壘打球砸中」送急診!人夫愣:能找澳洲負責嗎?

November 18, 2024
台灣

台中76小時6人死亡!陳屍公園長椅、摩鐵

November 18, 2024
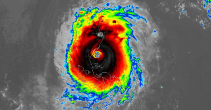
台灣

2024年「年度風王」!萬宜「超清晰颱風眼」 專家警告3區嚴防雨彈

November 18, 2024
台灣

最強冷空氣來了!挑戰大陸冷氣團「下探14度」時間點曝

November 18, 2024
台灣

台北女過馬路「被公車捲進車底」丈夫嚇傻崩潰 女司機:我失憶了

November 18, 2024
台灣

高雄爆街頭隨機攻擊!已有4人受傷

November 18, 2024
台灣

咖啡恐「含致癌物」常喝易罹癌 醫曝2招保命

November 18, 2024
台灣, 知識

24歲正妹邊走邊唱「最後一次」!「摔落樓梯慘死」友人拍下生前最後身影

November 18, 2024
世界
跳轉頁面« 第一頁‹ 上一頁226227228229230231232233234235236下一頁 ›最後一頁 »
← Older posts
Newer posts →
TEEPR原創影片
網人365
編輯專欄
公關專欄
生活
動漫
出門
ChloE直講
女生
娛樂
Travel Seefood
科技
小物
Adrian
圖文
雪若Q談人蔘
動物
美漫
親子
動漫宅
影評
星座
遊戲
美妝
Jane的假的
本週主打星
美食
世界
知識
Cosplay
時尚單品
叭啦叭啦研究室
電影
蘑菇宅
台灣
藝術
亮新聞
感情
旅遊
Girls Talk!
星聞
今日紅什麼
IG專區
激辯擂台
TEEPR推一波
求職
Pushnews 推日報 (Awesome Co. Ltd.) Copyright © 2014
DMCA.com Protection Status
關於我們
服務條款
隱私條款
聯絡我們
爆料信箱:contact@teepr.com
聯絡專線:+886-2-7709-1699
 
兒童不宜內容

此內容只給年滿18歲的讀者觀看,如非18歲請退出!

我大人了啦!
未滿18歲
cwv3_den_title

cwv3_den_msg

未滿18歲