首頁
台灣
世界
動物
圖文
娛樂
女生
出門
動漫
生活
公關專欄
編輯專欄
網人365
 
選擇語言:
還原 简体 繁體
  • 關於我們
  • 徵才
  • 聯絡我們
  • 刊登廣告
  • 安卓APP
  • 愛瘋APP

TEEPR 亮新聞

選單
  • 首頁
  • 台灣
  • 世界
  • 動物
  • 娛樂
    • 電影
    • 星聞
    • 影評
    • 美漫
  • 圖文
  • 女生
    • 時尚單品
    • 美妝
    • 感情
  • 出門
    • 旅遊
    • 美食
  • 動漫
    • 動漫宅
    • 遊戲
    • Cosplay
  • 生活
    • 求職
    • 藝術
    • 知識
    • 星座
    • 科技
    • 小物
    • 親子
  • 公關專欄
  • 編輯專欄
    • 蘑菇宅
    • 雪若Q談人蔘
    • Adrian
    • ChloE直講
  • 網人365
    • 今日紅什麼
    • 本週主打星
  • TEEPR原創影片
    • 叭啦叭啦研究室
    • TEEPR推一波
    • 亮新聞
  • IG專區
首頁
台灣
世界
動物
圖文
娛樂
女生
出門
動漫
生活
公關專欄
編輯專欄
網人365

地方少女寫的文章

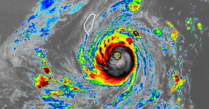
今天千萬別出門!強颱康芮「風雨最猛時刻」曝

October 31, 2024
台灣

爸媽退休要他「月給15K孝親費」 妻怒:老人沒錢是自己的問題

October 30, 2024
台灣, 親子

「唐僧為何不吃自己的肉來長生不老?」職場菜鳥神回1句 面試官笑翻秒錄取

October 30, 2024
求職, 世界

公車墜河!司機「打瞌睡」衝出護欄 7死、5傷奪命畫面曝 

October 30, 2024
世界

汽車大廠爆擬關3廠!員工「薪資縮水10%」數萬人準備失業

October 30, 2024
世界

知名連鎖KTV驚爆停業!業者證實發聲了 收攤原因曝

October 30, 2024
台灣

康芮升強颱 「明是否放颱風假?」氣象署回應了

October 30, 2024
台灣

LINE偷吃有新招!腥夫「廣告訊息」曝光 網跪了:高智慧犯罪

October 30, 2024
感情, 台灣

全台都難逃!康芮來襲「4縣市」放假機率高 專家曝1好消息

October 29, 2024
台灣

電器大廠突宣布破產!2000員工遭「即刻解雇」發薪日前慘失業

October 29, 2024
世界

小學爆隨機砍人!「挑放學時間下手」3學童受傷倒地

October 29, 2024
世界

知名樂團主唱驚爆離世!「社會住宅孤獨死」唱片公司證實了

October 29, 2024
星聞, 世界
跳轉頁面« 第一頁‹ 上一頁211212213214215216217218219220221下一頁 ›最後一頁 »
← Older posts
Newer posts →
TEEPR原創影片
網人365
編輯專欄
公關專欄
生活
動漫
出門
ChloE直講
女生
娛樂
Travel Seefood
科技
小物
Adrian
圖文
雪若Q談人蔘
動物
美漫
親子
動漫宅
Jane的假的
影評
星座
遊戲
美妝
蘑菇宅
台灣
本週主打星
美食
世界
知識
Cosplay
時尚單品
叭啦叭啦研究室
電影
星聞
今日紅什麼
藝術
亮新聞
感情
旅遊
Girls Talk!
IG專區
激辯擂台
TEEPR推一波
求職
Pushnews 推日報 (Awesome Co. Ltd.) Copyright © 2014
DMCA.com Protection Status
關於我們
服務條款
隱私條款
聯絡我們
爆料信箱:contact@teepr.com
聯絡專線:+886-2-7709-1699
 
兒童不宜內容

此內容只給年滿18歲的讀者觀看,如非18歲請退出!

我大人了啦!
未滿18歲
cwv3_den_title

cwv3_den_msg

未滿18歲