首頁
台灣
世界
動物
圖文
娛樂
女生
出門
動漫
生活
公關專欄
編輯專欄
網人365
 
選擇語言:
還原 简体 繁體
  • 關於我們
  • 徵才
  • 聯絡我們
  • 刊登廣告
  • 安卓APP
  • 愛瘋APP

TEEPR 亮新聞

選單
  • 首頁
  • 台灣
  • 世界
  • 動物
  • 娛樂
    • 電影
    • 星聞
    • 影評
    • 美漫
  • 圖文
  • 女生
    • 時尚單品
    • 美妝
    • 感情
  • 出門
    • 旅遊
    • 美食
  • 動漫
    • 動漫宅
    • 遊戲
    • Cosplay
  • 生活
    • 求職
    • 藝術
    • 知識
    • 星座
    • 科技
    • 小物
    • 親子
  • 公關專欄
  • 編輯專欄
    • 蘑菇宅
    • 雪若Q談人蔘
    • Adrian
    • ChloE直講
  • 網人365
    • 今日紅什麼
    • 本週主打星
  • TEEPR原創影片
    • 叭啦叭啦研究室
    • TEEPR推一波
    • 亮新聞
  • IG專區
首頁
台灣
世界
動物
圖文
娛樂
女生
出門
動漫
生活
公關專欄
編輯專欄
網人365

地方少女寫的文章

百萬YTR求婚成功!粉絲熱淚:大男孩長大了

November 6, 2024
星聞, 台灣

抽菸30年罹肺癌晚期 桃園男「靠1物」腫瘤奇蹟消失!醫師認證了

November 5, 2024
台灣

台灣要出大事了?命理師警告「下月這天」大災難降臨:崩潰指數今年最高

November 5, 2024
世界

捷運遇初戀感電眼正妹 摘下口罩「真面目」眾人驚:顏值更高了

November 5, 2024
IG專區, 世界

蘋果認了「iPhone這型號」有瑕疵!可申請退款條件曝

November 5, 2024
台灣, 世界, 科技

真的撐不住了!知名美式餐廳「宣布破產」 台灣總公司緊急發聲

November 5, 2024
台灣, 世界

超人氣漫畫家驚傳逝世!「作品還在連載中」出版社悲痛證實了

November 5, 2024
星聞, 世界, 動漫宅

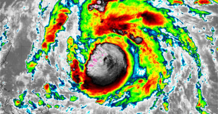
銀杏將轉中颱!「10級強風」襲12縣市 最新預測路徑曝

November 5, 2024
台灣

神童13歲上大學「不會穿衣服」驟逝 母淚喊:是我害了他

November 4, 2024
世界

小四女兒LINE把父母取名「腦殘人」 父心碎:平時對她很好…

November 4, 2024
台灣, 親子

12歲妹「偷玩姊手機」被電斃 爸崩潰:講很多次都不聽

November 2, 2024
世界

壓歲錢該給到幾歲?專家建議「別超過這年齡」:不合規矩還很尷尬

November 2, 2024
台灣, 世界, 知識
跳轉頁面« 第一頁‹ 上一頁208209210211212213214215216217218下一頁 ›最後一頁 »
← Older posts
Newer posts →
TEEPR原創影片
網人365
編輯專欄
公關專欄
生活
動漫
出門
ChloE直講
女生
娛樂
Travel Seefood
科技
小物
Adrian
圖文
雪若Q談人蔘
動物
美漫
親子
動漫宅
Jane的假的
影評
星座
遊戲
美妝
蘑菇宅
台灣
本週主打星
美食
世界
知識
Cosplay
時尚單品
叭啦叭啦研究室
電影
星聞
今日紅什麼
藝術
亮新聞
感情
旅遊
Girls Talk!
IG專區
激辯擂台
TEEPR推一波
求職
Pushnews 推日報 (Awesome Co. Ltd.) Copyright © 2014
DMCA.com Protection Status
關於我們
服務條款
隱私條款
聯絡我們
爆料信箱:contact@teepr.com
聯絡專線:+886-2-7709-1699
 
兒童不宜內容

此內容只給年滿18歲的讀者觀看,如非18歲請退出!

我大人了啦!
未滿18歲
cwv3_den_title

cwv3_den_msg

未滿18歲